Furacão Melissa devasta Jamaica com ventos de 295 km/h
28/10/2025, 20:31:54
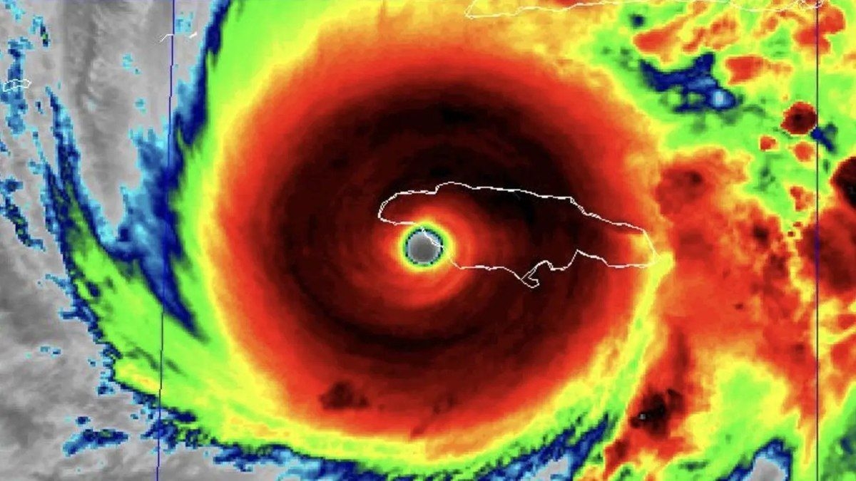
O impacto do furacão Melissa na Jamaica
O furacão Melissa atingiu o solo da Jamaica por volta das 14h desta terça-feira (28), no horário de Brasília, com força extrema, registrando ventos de 295km/h. As informações são da MetSul Meteorologia.
Classificado em categoria 5, o nível máximo da escala Saffir-Simpson e do ano até agora, o sistema chegou à ilha com potencial de devastação sem precedentes. Em comunicado emitido pelo Centro Nacional de Furacões dos Estados Unidos (NHC), sediado em Miami, Melissa tocou terra na região Sudoeste da Jamaica, próximo à localidade de New Hope, registrando ventos sustentados de 295 km/h e pressão central de 892 milibares.
Momentos antes do impacto, uma missão de reconhecimento da NOAA confirmou a queda da pressão mínima para 892 mb. Furacões com pressão abaixo de 900 milibares (mb) são muito raros e apenas um punhado desceu a valores tão baixos de pressão.
De acordo com a MetSul, uma sonda lançada por uma aeronave da NOAA pouco antes da aterrissagem do furacão Melissa registrou ventos sustentados de 298 km/h e rajadas que atingiram impressionantes 405 km/h logo acima da superfície. O furacão, naquele instante, ainda estava em intensificação.
Especialistas afirmam que Melissa está ultrapassando os limites físicos e de intensidade que podem ser atingidos no Atlântico, se aproximando da intensidade máxima considerada possível para a região. A MetSul reforça que os danos esperados na Jamaica serão de escala catastrófica, especialmente nas áreas sob a parede do olho do furacão.
As rajadas previstas, podendo variar entre 300 km/h e 350 km/h, são comparáveis às observadas em tornados de categorias F4 e F5. A diferença, porém, é a extensão do impacto que provoca destruição em uma área amplamente superior à de um tornado isolado.
A previsão é de que parte do território jamaicano sofra tamanha devastação que algumas localidades podem simplesmente desaparecer do mapa, tornando-se inabitáveis por anos. O próprio NHC tem alertado para o risco de “colapso estrutural total”, indicando que, em regiões diretamente atingidas, praticamente nenhuma estrutura deverá permanecer de pé.
O meteorologista Matthew Cappucci, do jornal Washington Post, e que voou dentro do furacão Melissa, no domingo (26), a bordo de um avião caça-furacões da NOAA, publicou em suas redes sociais um texto com previsão aterradora para a Jamaica: “Hoje é um dia grave e sombrio. O sol acaba de nascer na Jamaica. Esta é a última vez que a paisagem parecerá como está agora. Cerca de 40% da ilha está prestes a perder a maior parte de sua vegetação. A cicatriz deixada na paisagem levará uma década ou mais para se curar. A parede do olho se aproxima. Ainda está repleta de relâmpagos, o que indica que a tempestade mantém sua intensidade — ou até pode estar se fortalecendo. O anel interno de ventos, como uma serra elétrica, trará condições semelhantes a tornados por até três horas. A maioria das construções bem edificadas será gravemente danificada ou destruída. Detritos lançados pelo vento se transformarão em projéteis letais. Carros compactos e SUVs menores serão erguidos do solo. Prédios altos e edifícios residenciais de vários andares perderão todas as janelas e partes de telhados e paredes; alguns poderão balançar perigosamente, talvez até o ponto de colapso total”.
Além dos ventos extremos, Melissa deve provocar chuvas superiores a 1.000 mm em alguns pontos, com potencial para inundações devastadoras e grandes deslizamentos em áreas de relevo, capazes de soterrar vilarejos e pequenas cidades inteiras.
A MetSul ainda reforça que nas zonas costeiras, o perigo é ainda maior: a maré da tempestade pode avançar sobre a terra com vários metros de altura, em movimento semelhante ao de um tsunami.
O furacão vai cruzar a Jamaica de Sul para Norte de hoje para amanhã e depois segue rumo ao Leste de Cuba, onde deve chegar com menor intensidade. Na sequência, Melissa deve afetar Turk e Caicos e em seguida as Bahamas.
