Supertufão Ragasa avança para a China com grande força
23/09/2025, 17:36:56
Destruição nas Filipinas
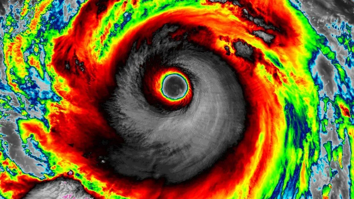
Após provocar devastação significativa nas Filipinas e em Taiwan no início desta semana, o supertufão Ragasa está avançando para oeste em direção à China. Este fenômeno meteorológico tem chamado a atenção dos cientistas, pois é o primeiro ciclone de categoria 5 de 2025 na bacia, além de ser a tempestade mais forte registrada no planeta até o momento neste ano, conforme informado pela MetSul Meteorologia.
Neste início de outono no Hemisfério Norte, o furacão Gabrielle também foi elevado para a categoria 4. As atenções, no entanto, estão voltadas para o Ragasa — cujo nome deriva da palavra filipina para "movimento rápido". Na categoria 5, se juntou ao furacão Erin no Atlântico e ao ciclone Errol na costa noroeste da Austrália. Entre 1990 e 2024, a média global de tufões de categoria 5 por ano é de 5,3, sendo que cinco ocorreram em 2024.
O Ragasa atingiu as ilhas Babuyan, ao norte do arquipélago filipino, na manhã de segunda-feira (22), horário local. O olho da tempestade passou diretamente sobre a ilha de Calayan, que possui cerca de 10 mil habitantes. Mais de 8.200 moradores buscaram abrigo em centros de evacuação, uma medida que evitou um desastre ainda maior. Apesar da preparação, ao menos três mortes e várias dezenas de feridos foram confirmados nas províncias de Cagayan e Apayao, com linhas de transmissão derrubadas causando blecautes generalizados e estradas bloqueadas por quedas de árvores e deslizamentos de terra. Em 29 províncias, incluindo a capital Manila, escolas e repartições públicas foram fechadas.
Dados meteorológicos impressionantes
Um dado que chamou a atenção da comunidade científica foi a leitura de uma boia que registrou uma pressão mínima de 900,3 hPa ao passar pelo olho do tufão, ajustada para aproximadamente 897 hPa. Este número impressionou os meteorologistas, pois representa uma das maiores intensidades de tempestades na região, o que pode ser o menor registro direto no Pacífico Noroeste desde o supertufão Meranti, em 2016, que atingiu 883 hPa. Com esta intensidade extrema, Ragasa se categoriza como um dos ciclones mais violentos das últimas décadas.
Impacto em Taiwan
Enquanto isso, um lago de barreira formado por um deslizamento de terra no leste de Taiwan rompeu nesta terça-feira (23), enquanto o supertufão Ragasa atingia a ilha com chuvas torrenciais. Isso resultou em inundações em uma cidade próxima, deixando mais de 260 pessoas isoladas. No condado de Hualien, as intensas precipitações contínuas causaram o rompimento do lago de barreira, arrastando uma ponte e inundando áreas urbanas.
Lee Lung-sheng, vice-chefe do Corpo de Bombeiros do condado de Hualien, explicou que em alguns locais, as águas chegaram até o segundo andar de casas. As pessoas ilhadas foram instruídas a subir para áreas mais altas, enquanto uma operação de busca foi iniciada para encontrar os desaparecidos. No total, mais de 7.600 residentes de Taiwan foram evacuados devido aos efeitos do Ragasa.
Rumo à China
Após cruzar o Estreito de Luzon, o Ragasa está agora no Mar do Sul da China, com um trajeto que indica uma aproximação perigosa da costa de Guangdong entre a noite desta terça (23) e quarta-feira (24), no horário local. A MetSul informou que ainda há grande incerteza meteorológica: uma leve alteração na trajetória pode resultar em impacto direto em grandes centros urbanos, como Zhanjiang, ou uma passagem mais afastada, com danos menores. Modelos de previsão divergem quanto à intensidade no momento do toque em terra, variando entre categoria 1 e categoria 3.
Ameaça e interrupções em Hong Kong
Com a aproximação da tempestade, Hong Kong e partes do sul da China suspenderam suas atividades na noite desta terça-feira, devido a ventos fortes e chuvas intensas. As autoridades fecharam escolas e empresas em pelo menos 10 cidades. O supertufão registrava ventos sustentados máximos de 205 km/h próximos ao seu centro enquanto avançava para o oeste pelo Mar do Sul da China. O Observatório de Hong Kong advertiu, emitindo sinal T8, o terceiro nível mais alto de alerta para tufões, e o alerta poderia ser elevado a qualquer momento.
Eric Chan, segundo mais alto funcionário de Hong Kong, alertou que o Ragasa representa uma "ameaça séria" comparável a supertufões de anos anteriores, que causaram danos substanciais. A evacuação de 400 mil pessoas foi ordenada nas áreas afetadas, com autoridades ressaltando que, exceto por equipes de resgate e serviços essenciais, ninguém deve sair de casa. Em Hong Kong, aulas foram suspensas na terça e quarta-feira, enquanto a bolsa de valores adotou novas regras para manter a operação em situações de tufões, levando ao cancelamento de mais de 500 voos e à interrupção de atividades na cidade.
Conclusão
A previsão indica que o Ragasa pode enfraquecer gradualmente ao se aproximar da costa chinesa, mas ainda deve manter uma força significativa ao entrar no norte do Vietnã e no Laos nos próximos dias.
